Radio Białystok | Wiadomości | Wiadomości - Na jednej z działek w Jurowcach niedaleko Wasilkowa jest dzikie wysypisko śmieci

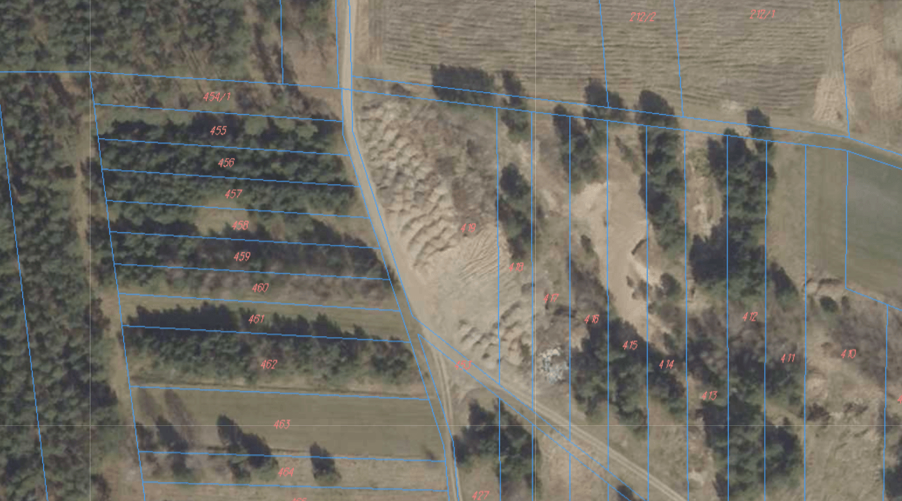
Na jednej z działek w Jurowcach niedaleko Wasilkowa jest dzikie wysypisko śmieci

autor: Ryszard Minko

14.05.2021, 09:53, akt. 11:46

Stare opony, opakowania po zużytym oleju silnikowym, plastikowe butelki i elementy karoserii można znaleźć na jednej z działek w Jurowcach niedaleko Wasilkowa.

Źródło fot.: dzięki uprzejmości Słuchacza
Źródło fot.: dzięki uprzejmości Słuchacza


0:00
0:00
dźwięk do pobraniaNa jednej z działek w Jurowcach niedaleko Wasilkowa jest dzikie wysypisko śmieci - relacja Ryszarda Minko | Pobierz plik.


Problemy z odsłuchem?

Częstym problemem przy wyświetlaniu playera jest używanie Adblocka.
Dłuższe dźwięki na niektórych wersjach przeglądarki Chrome są ucinane.

Dostaliśmy sygnał od słuchacza, że w sąsiedztwie byłej żwirowni zaczyna tworzyć się dzikie wysypisko śmieci. Okazało się, że teren należy do gminy Wasilków i po naszej interwencji będzie posprzątany.

- Gminne działki są w taki sposób wykorzystywane. Pracując kilkanaście lat już naprawdę wiele rzeczy widziałam. I to niekoniecznie muszą być śmieci z warsztatu, po prostu ktoś mógł sobie robić porządki w garażu. Za takie odpady trzeba zapłacić. Natomiast jesteśmy zobowiązani do posprzątania tego i tak zrobimy. Na pewno zabezpieczymy teren w taki sposób, żeby wiedzieć, kto ewentualnie tam te śmieci przywozi - mówi Marta Guralewska z Urzędu Miejskiego w Wasilkowie. 

Problem pozostawiania śmieci w lasach cały czas jest duży. Na dzikie wysypiska najczęściej trafiają tak zwane problematyczne odpady między innymi po remontach, które samodzielnie należy odwieźć do punktu odbioru lub zamówić osobny kontener.

| red: mag


PRB
Aplikacja Polskiego Radia Białystok	dla telefonów z iOS
Aplikacja Polskiego Radia Białystok dla telefonów z iOS

PRB
Aplikacja Polskiego Radia Białystok dla telefonów z Androidem
Aplikacja Polskiego Radia Białystok dla telefonów z Androidem

PRB
Aplikacja Polskiego Radia Białystok dla telefonów Huawei
Aplikacja Polskiego Radia Białystok dla telefonów Huawei


ZNAJDŹ NAS
Polskie Radio Białystok na Facebook
Polskie Radio Białystok na X
Polskie Radio Białystok na YouTube
Polskie Radio Białystok na Instagram


Źródło: jagiellonia.pl/ fot. Kamil Świrydowicz
SPORT
27.10.2025, 08:28, akt. 09:33

Sędziowie meczu między Górnikiem Zabrze a Jagiellonią Białystok zostali zawieszeni

Obrady Sejmiku Województwa Podlaskiego, 27.10.2025, fot. Renata Reda
SAMORZĄD
27.10.2025, 10:50, akt. 15:20

Wsparcie Xylopolis, apel do PE, podwyżka dla marszałka i dyplomy za Perły. Obraduje Sejmik

Wigry Suwałki pokonały Olimpię Elbląg 4:1, 26.10.2025, fot. Wigry Suwałki/Facebook
SPORT
27.10.2025, 05:26, akt. 13:39

Sportowy weekend: Jaga przegrywa, BAS wygrywa, trzy zwycięstwa w III lidze


Rozbiórka drewnianych domów przy ul. Suchowolca w Białymstoku, 8.10.2025, fot. Ryszard Minko
BIAŁYSTOK
27.10.2025, 15:21, akt. 15:32

Po rozbiórce zabytków na Dojlidach - dymisji nie będzie, prezydent czeka na ustalenia

Spotkanie europosłów z mieszkańcami i samorządowcami z powiatu sokólskiego, 27.10.2025, fot. Marcin Gliński
SOKÓŁKA
Audio
27.10.2025, 14:55, akt. 15:03

Sytuacja przy granicy - europosłowie spotkali się z mieszkańcami i samorządowcami

fot. Joanna Szubzda
BIAŁYSTOK
Audio
27.10.2025, 13:09, akt. 13:24

Budżet Obywatelski Białegostoku. Zobacz, jakie projekty wybrali mieszkańcy


Źródło: mat. pras.
WARTO TAM BYĆ
27.10.2025, 11:45, akt. 11:55

Razem dla bezpieczeństwa. Spotkanie edukacyjne i szkolenie w Bielsku Podlaskim

Robot chirurgiczny w łomżyńskim szpitalu, źródło: Szpital Wojewódzki w Łomży
ŁOMŻA
27.10.2025, 11:28, akt. 11:37

Sprawniejsze operacje, pacjenci szybciej w domu. Szpital w Łomży ma nowy sprzęt

Dzień Wszystkich Świętych, fot. Joanna Szubzda
ŁOMŻA
27.10.2025, 07:35, akt. 07:46

Wszystkich Świętych tuż tuż. Zmiany w organizacji ruchu w Łomży


źródło: stock.adobe.com
KOLNO
27.10.2025, 07:19, akt. 09:40

Aktywny Maluch w Kolnie. Miejski żłobek z rządowej dotacji

Bloki w Białymstoku, fot. Joanna Żemojda
BIAŁYSTOK
27.10.2025, 12:35, akt. 12:59

Tanieją mieszkania w Białymstoku. Dużo jednak zależy od lokalizacji

Jubileusz 20-lecia Akademii Supraskiej, fot. Anna Petrovska
REGION
Audio
27.10.2025, 10:15, akt. 10:44

Akademia Supraska świętuje jubileusz 20-lecia istnienia


Górnik Zabrze - Jagiellonia Białystok, 26.10.2025, fot. Jerzy Kułakowski
JAGIELLONIA
26.10.2025, 06:31, akt. 20:05

Koniec pięknej serii! Jagiellonia przegrywa na wyjeździe z Górnikiem Zabrze [link do transmisji]

Uroczystości w Suchowoli w 41. rocznicę męczeńskiej śmierci ks. Jerzego Popiełuszki, 26.10.2025, fot. Grzegorz Pilat
SUCHOWOLA
Audio
26.10.2025, 15:23, akt. 15:37

41. rocznica męczeńskiej śmierci bł. ks. Jerzego Popiełuszki. Uroczystości w Suchowoli [zdjęcia]

Piast Gliwice - Jagiellonia Białystok, 13.09.205, fot. Joanna Szubzda
JAGIELLONIA
26.10.2025, 21:53, akt. 21:59

Adrian Siemieniec: Emocje są duże, rozczarowanie ogromne


Źródło: GOK Narewka
KULTURA
Audio
26.10.2025, 17:57, akt. 18:05

Zakończył się pierwszy Festiwal Filmów Dokumentalnych NarewkaDok. Znamy laureatów

fot. Iza Kosakowska
MÓWI SIĘ
26.10.2025, 15:44, akt. 16:00

Pieniądze na komputery do gminnych bibliotek. Ale tylko dla najuboższych

Budżet Obywatelski gminy Sokółka, 28.10.2024
SOKÓŁKA
26.10.2025, 14:50, akt. 14:56

Budżet Obywatelski w Sokółce. Jakie projekty wybrali mieszkańcy?


Spacer dla zdrowia w Białymstoku, 26.10.2025, fot. Renata Reda
BIAŁYSTOK
Audio
26.10.2025, 14:26, akt. 14:44

Nie ma złej pogody na spacer dla zdrowia. Przekonało się o tym ponad 300 osób [zdjęcia]

Dramatycznie niski poziom wody w Narwi w Nowogrodzie, 3.07.2025, fot. Paweł Wądołowski
REGION
26.10.2025, 13:36, akt. 13:47

Narew w Nowogrodzie. Nie będzie już ujemnych stanów wody

źródło: GDDKiA
KOLNO
26.10.2025, 11:52, akt. 11:56

Mieszkańcy Kolna mogą wskazać przebieg ostatniego odcinka obwodnicy - trwają konsultacje społeczne


Odblaski ratują życie, fot. Katarzyna Cichoń
REGION
26.10.2025, 07:57, akt. 09:10

Podlaskie podstawówki świecą przykładem. Uczniowie walczą o tytuł "Odblaskowej Szkoły"

Nowa siedziba posterunku policji w Krynkach, źródło: sokolka.policja.gov.pl
POLICJA
26.10.2025, 07:56, akt. 08:46

Policjanci w Krynkach pełnią już służbę w nowej siedzibie

źródło: Facebook Mariusz Gołaszewski
REGION
26.10.2025, 07:54, akt. 08:59

Podworska stajnia w Pietkowie Drugim odzyska dawny blask


Akcja "Oddaj rower", fot. Marcin Gliński
WARTO WIEDZIEĆ
25.10.2025, 07:52, akt. 08:56

Oddaj rower i pomóż wychowankom domów dziecka

Model rekonstrukcji człowieka wyprostowanego - Homo erectus, źródło: Uniwersyteckie Centrum Przyrodnicze
A TO CIEKAWE!
Audio
25.10.2025, 09:20, akt. 09:54

Spotkaj swojego przodka! Homo erectus już w Białymstoku

Fot. Wojciech Szubzda
KOLEJ
25.10.2025, 09:05, akt. 09:18

Zmiany w rozkładzie jazdy pociągów POLREGIO


Fot. Wojciech Szubzda
PROKURATURA
Audio
25.10.2025, 08:03, akt. 09:02

Prokuratura ponownie umorzyła śledztwo ws. użycia broni hukowej przez funkcjonariuszkę SG

źródło: zubroffka.pl
25.10.2025, 18:36, akt. 18:41

Blisko 1,4 tys. filmów krótkometrażowych zgłoszonych na tegoroczny festiwal "Żubroffka”

Jastrząb, źródło: UwB
NAUKA
25.10.2025, 18:15, akt. 18:33

Naukowcy z UwB wykryli wysoką śmiertelność jastrzębi w Puszczy Białowieskiej


źródło: stock.adobe.com
REGION
25.10.2025, 16:00, akt. 16:09

Jest raport białostockiego GUS-u dotyczący budżetów domowych podlaskich rodzin za rok 2024

Pożar w Podlaskim Ogrodzie Botanicznym w Korycinach, 23.10.2025, fot. Przemysław Trochimiak, Łukasz Charlak/OSP Drohiczyn
POŻAR
Foto
25.10.2025, 07:15, akt. 14:14

Pożar w ogrodzie botanicznym w Korycinach [zdjęcia]

Mieszkańcy gminy Grabówka uczyli się, jak działać w sytuacjach kryzysowych, 25.10.2025, fot. Marcin Gliński
REGION
Audio
25.10.2025, 13:35, akt. 14:08

Gmina Grabówka gotowa na wszystko. Mieszkańcy uczyli się, jak działać w sytuacjach kryzysowych


Rozbiórka drewnianych domów przy ul. Suchowolca w Białymstoku, 8.10.2025, fot. Ryszard Minko
BIAŁYSTOK
25.10.2025, 11:16, akt. 11:30

Prokuratura wszczęła śledztwo, w sprawie rozbiórki zabytkowych domów w Białymstoku

Fotolia.com
WARTO WIEDZIEĆ
Audio
25.10.2025, 10:19, akt. 11:16

W ten weekend śpimy godzinę dłużej! Zmiana czasu na zimowy

87. Wszechnica Biebrzańska, 25.10.2025, fot. Paweł Wądołowski
WARTO TAM BYĆ
Audio
25.10.2025, 08:41, akt. 14:41

Dokąd wędrują łosie i żubry? O tym na 87. Wszechnicy Biebrzańskiej




źródło: www.radio.bialystok.pl

Białystok FM 99,4 Łomża FM 87,9 Suwałki FM 98,6 Siemiatycze FM 104,1 Białowieża FM 89,4 178,352 MHz (k.5C) DAB+

Copyright © Polskie Radio Białystok